Xoài là cây ăn trái dễ trồng, có giá trị kinh tế cao. Vì vậy, trong những năm gần đây, diện tích trồng xoài đã gia tăng đáng kể ở một số tỉnh ĐBSCL. Song song với sự gia tăng diện tích, dịch hại trên xoài cũng ngày càng trở nên trầm trọng. Trong đó, bệnh thán thư là phổ biến và gây hại khá nghiêm trọng đến sự sinh trưởng và phát triển của cây, bên cạnh đó còn ảnh hưởng nặng đến năng suất và chất lượng trái trong mỗi mùa vụ. Xin kính mời quý bà con cùng theo dõi bài viết hôm nay để cùng tìm hiểu về bệnh thán thư trên cây xoài và biện pháp phòng trừ.
NGUYÊN NHÂN VÀ ĐIỀU KIỆN PHÁT SINH:
Bệnh thán thư hại xoài là bệnh do nấm gây ra. Bệnh gây hại trên cả lá, chồi, hoa và trái, làm khô, rụng hoa, lá, trái và nặng hơn có thể làm chết cây.
Nhiệt độ và độ ẩm là hai yếu tố quan trọng ảnh hưởng tới sự phát sinh và phát triển của bệnh. Nếu ẩm độ cao trên 95% và nhiệt độ từ 25-28 độ C, pH đất từ 5.8 – 6.5 là điều kiện lý tưởng cho bệnh phát triển. Sương mù đóng vai trò quan trọng làm tăng tỷ lệ bệnh thán thư trên vườn xoài.
Bào tử nấm có sẳn từ các bộ phận đã nhiễm bệnh trên cây xoài hoặc trên các tàn dư trong vườn khi gặp điều kiện thuận lợi dễ dàng nảy mầm và theo đường nước tưới hoặc nước mưa để phát tán mầm bệnh. Ngoài ra, bệnh còn có thể lan truyền thông quá gió, côn trùng, dụng cụ làm vườn không được vệ sinh sạch sẽ.
Bệnh thán thư trên xoài đặc biệt dễ dàng lan rộng trong giai đoạn mùa xoài ra lộc, khi cây đang ra nụ hoa và quả non, và thời tiết thuận lợi cho sự phát triển của nấm.
Đối với những vườn xoài ít được chăm sóc hoặc chăm sóc không đúng cách như: sử dụng phân bón không cân đối hoặc chứa quá nhiều đạm, không thường xuyên cắt tỉa cành cây, vườn rậm rạp, thiếu ánh sáng, độ ẩm trong vườn cao … có thể tạo điều kiện thuận lợi hơn cho bệnh thán thư phát triển và gây hại nghiêm trọng hơn cho cây xoài.

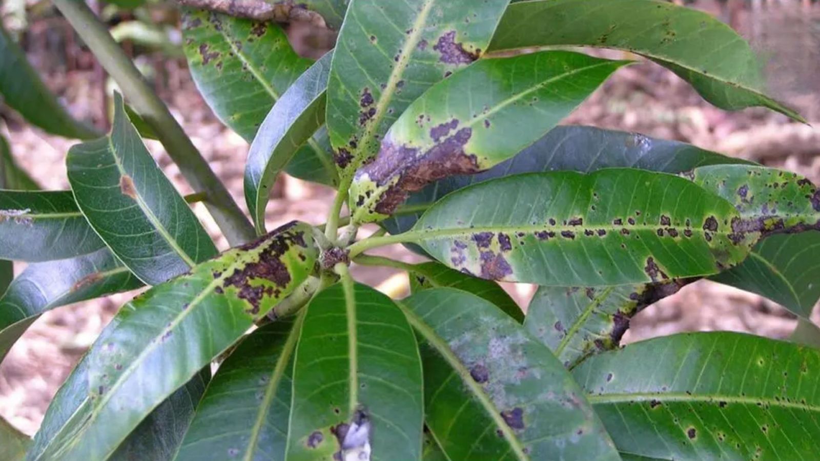
BIỂU HIỆN:
Trên lá: Khi bệnh thán thư trên xoài gây hại ở lá, nhất là lá non sẽ xuất hiện các đốm nhỏ, sau lớn dần có dạng tròn hay góc cạnh, tâm đốm màu xám nâu, rìa đốm có màu vàng nhạt. Trên lá già, vết bệnh khô và rách ngay ở giữa. Nếu xoài bị nhiễm thán thư nặng thì sau khoảng 3 – 5 ngày kể từ khi nhiễm bệnh, các đốm bệnh liên kết lại thành từng mảng lớn làm lá biến dạng, khô, rách và rụng.

Trên cành: Cành non xoài bị thán thư sẽ xuất hiện các đốm bệnh màu nâu vàng, nhỏ, không đều. Khi bệnh nặng, các đốm bệnh sẽ liên kết lại bao quanh cành gây khô cành.
Trên hoa: xuất hiện những chấm đen nhỏ trên hoa ở các nhánh, sau đó lớn dần làm cho hoa không nở, không thụ phấn được. Bệnh nặng làm rụng bông, các gié hoa, cành hoa bị thối đen, khô héo và rụng
(1).jpg)
Trên trái: Mầm bệnh có thể tấn công trái non, trái lớn và cả trái sau thu hoạch, tồn trữ
- Trên trái non: Ban đầu, trên vỏ trái xuất hiện các đốm tròn màu đen, có dạng lõm, sau đó chúng lớn dần và có vân đồng tâm. Hình dạng và kích thước của các đốm bệnh thường biến đổi. Khi có mưa nhiều, bào tử của nấm sẽ theo nước tập trung ở phần chóp của trái, gây làm cho chóp trái bị thối hoặc có sọc màu đen từ chóp trái đến cuống. Phần thịt của trái bên dưới các đốm này trở nên cứng, dễ bị thối khi trái chín. Bệnh cũng có thể dẫn đến việc rụng trái non.
- Trên trái già: Bào tử của nấm thâm nhập qua sẹo cuống và tiến vào phần thịt bên trong. Trong điều kiện đủ độ ẩm, có thể thấy các bào tử của nấm có màu hồng trên vết bệnh.
(2).jpg)
HẬU QUẢ:
- Nấm lây lan nhanh chóng và có thể lan đến toàn bộ cây trong vườn. Lá sẽ bị cháy thành từng mảng dần khô và rụng, gây ảnh hưởng đến quá trình quang hợp và cung cấp oxi cho cây, làm suy yếu và thậm chí là chết cây.
- Khi cây nhiễm bệnh sẽ ra hoa và đậu quả với số lượng ít. Bệnh tấn công khiến hoa bị khô đen và rụng đồng loạt ảnh hưởng đến việc đậu quả làm giảm năng suất.
- Nấm bệnh khiến quả bị thối đen, làm mất phẩm chất và giá trị thương phẩm của quả, gây khó khăn trong việc tiêu thụ nông sản.
- Nếu không được điều trị kịp thời, bệnh có thể lây lan sang những cây khác trong vườn gây tổn hại nghiêm trọng đến năng suất và chất lượng trái, ảnh hưởng đến kinh tế của nhà vườn.

BIỆN PHÁP PHÒNG TRỪ:
- Có biện pháp canh tác, kỹ thuật chăm sóc hợp lý, không trồng cây trong vườn quá dày để cây có không gian sinh trưởng và phát triển tốt.
- Thăm vườn thường xuyên để theo dõi tình hình phát triển và bệnh hại xuất hiện trên vườn, cắt tỉa cành, tạo tán, cắt tỉa bỏ những cành bị bệnh, cành nằm khuất trong tán lá… để cây nuôi tốt các bộ phận khỏe mạnh.
- Cắt cỏ, dọn sạch rác, tàn dư trên mặt đất, không để vườn cây quá ẩm ướt, um tùm, rậm rạp, hạn chế sự trú ngụ của mầm bệnh…
- Cần có quy trình tưới nước hợp lý, không nên tưới quá nhiều nước trong 1 lần, không để vườn cây quá khô hay quá ướt trong thời gian dài, cần có rãnh thoát nước trong vườn để tránh ứ đọng nước.
- Không lạm dụng các loại phân thuốc hóa học. Nên dùng các loại phân bón hữu cơ, vi sinh, vi lượng, cải tạo đất trồng… để đất có đầy đủ các chất dinh dưỡng, vi sinh vật có lợi trong đất phát triển, pH đất được ổn định, cây xanh tốt, khỏe mạnh, đề kháng cao…
- Dùng vôi bột hay các loại phân thuốc chứa Tricoderma để tưới cho cây, tiêu diệt các loại nấm bệnh tồn tại trong đất.
- Nên phun phòng trừ nấm bệnh và côn trùng gây hại cho vườn cây định kỳ, không nên để bệnh quá nặng rồi mới bắt đầu trị.
Quý bà con có thể sử dụng 4-5 gói TRỊ BỆNH kết hợp với 1 gói PHÒNG TRỊ BỆNH pha với 400 – 450 lít nước phun cho cây để đặc trị bệnh thán thư trên cây xoài.
(2).jpg)
*** Khuyến khích nhà vườn thực hiện theo nguyên tắc 4 đúng: Đúng thuốc - Đúng liều - Đúng lúc - Đúng cách khi sử dụng thuốc.
*** Khuyến khích bà con trang bị dụng cụ bảo hộ và đọc kỹ hướng dẫn sử dụng trước khi phun xịt thuốc.
Kính chúc quý ông bà cô chú anh chị nhà vườn sẽ có vụ mùa năng suất cao và bội thu!
► Cảm ơn bà con đã quan tâm và theo dõi bài viết. Hy vọng bài viết này sẽ đem lại cho bà con những kiến thức bổ ích trong quá trình canh tác nông nghiệp. Nếu muốn tham khảo thêm nhiều thông tin hữu ích khác, xin kính mời quý bà con truy cập vào trang web Thiên Hà WTO của chúng tôi mỗi ngày nhé !
Nguồn : Thiên Hà WTO Tổng Hợp.
THIÊN HÀ WTO TẬN TÂM - UY TÍN - CHẤT LƯỢNG
Mọi thắc mắc Nhà Nông xin liên hệ :
CÔNG TY CỔ PHẦN XUẤT NHẬP KHẨU THIÊN HÀ WTO️
Đường số 4, KDC Tây Đô Ecopark, Ấp Phú Thạnh, Xã Tân Phú Thạnh, Huyện Châu Thành A, Tỉnh Hậu Giang.
Hotline: 0785.288.289 - 0702.269.289
XIN CHÂN THÀNH CẢM ƠN.
- Bài viết đã được phê duyệt bởi CTy CP XNK Thiên Hà WTO
- Người đăng bài : Hồng Xuyên